Four Lots Throughout the Township
By Order of Middletown Township, Monmouth County, New Jersey
| Parcel | Block | Lot | Address | Zoning | Acreage +/- |
|---|---|---|---|---|---|
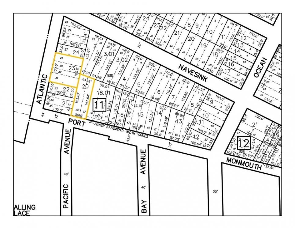
| 1 | 11 | 20 | 257 Port Monmouth Rd | B‐1 | 0.17 |
| 2 | 11 | 23 | 66 Atlantic Ave | B‐1 | 0.23 |
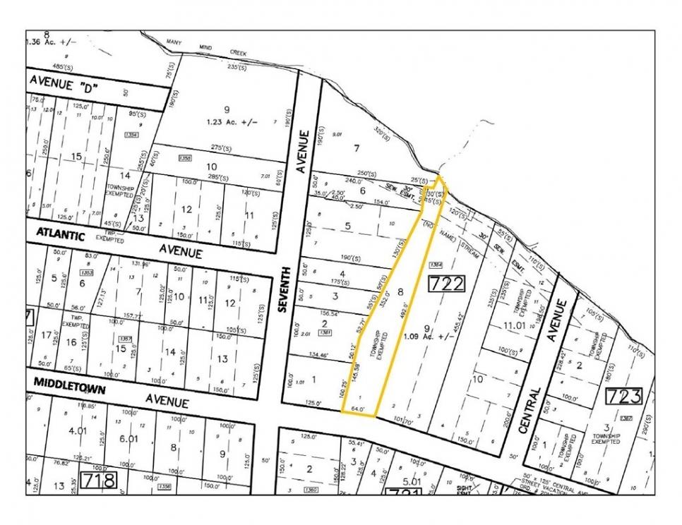
| 3 | 722 | 8 | Middletown Ave | R‐10 | 0.72 |
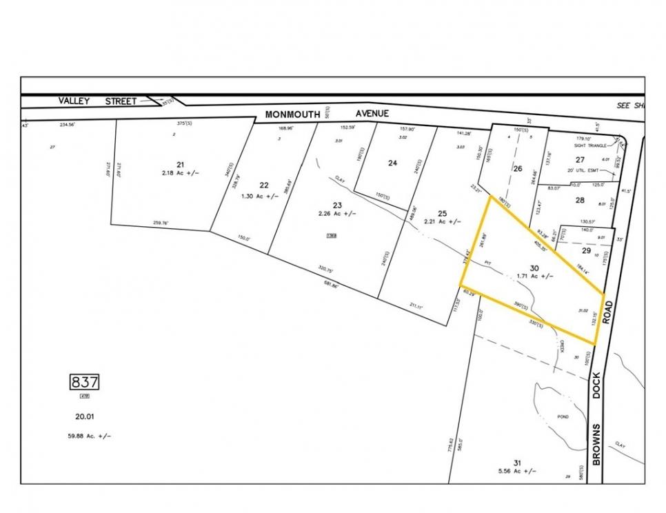
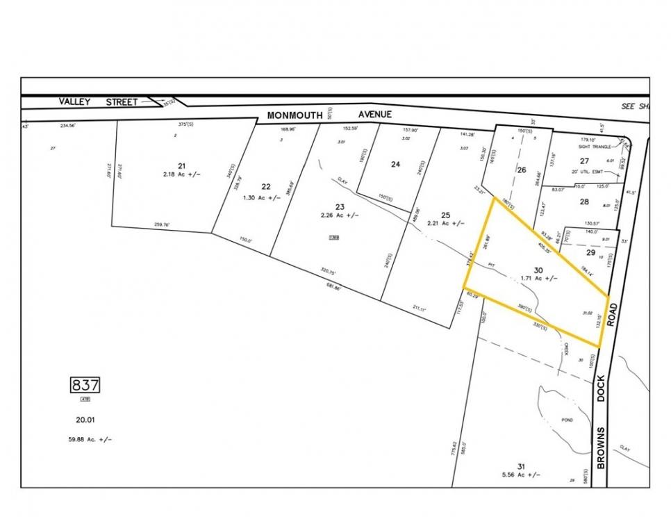
| 4 | 837 | 30 | 132 Browns Dock Rd | R‐22 | 1.20 |
Buy One, Two, Three, or all Four Lots-Your Choice! Bid Your Price
Middletown Township has been named one of the best places to live by MONEY magazine. Great schools, access to an abundance of cultural and leisure activities, and beautiful beaches are among the reasons that Middletown is known as one of the best places to live in New Jersey.
Online Auction: Concludes Wednesday, April 14, 2021 at 11 am
Questions? Call 888-299-1438 or email auctions@maxspann.com
Take the next step!
Join the bidders club, click on the acknowledgement email link, then return to this page and click on the large red button on the left side of this page to download the property information package.
I, the undersigned, agree to the following terms and conditions, should I be the high bidder.
Auction Day Requirements:
1. All bidders must be pre-registered. A $10,000 deposit (per property) must be placed into Max Spann Real Estate & Auction Co. escrow account prior to bidding. I understand that if I am the High Bidder and fail to submit my full deposit as required within the time frames outlined, a Default Fee of $10,000 (per property) will be charged and will be non-refundable. If you are not the high bidder said deposit will
be promptly returned.
2. High Bidder is required to deposit the balance of the 10% of the total contract amount into the escrow account by end of business day. The high bidder is required to enter into an Agreement of Sale immediately at the end of the auction. The Successful Bidder shall not be permitted to withdraw his/her/its bid. A 10% Buyer’s Premium will be added to the bid price and become the final Contract Price. Final sale is subject to
the Township of Middletown’s confirmation and acceptance.
3. I have read the terms of this sale posted on the premises, printed in the Property Information Package (PIP) and said terms are incorporated herein by reference, as are any public announcements made sale day. I agree to review the Property Information Package including the Contract of Sale prior to bidding at the Auction.
4. If any check given in payment is not honored for any reason, I agree, whether said check be signed by me as maker or endorser, that if such check is placed in the hands of any attorney for collection, to pay all reasonable attorney’s fees, together with all costs of suit in the event is instituted.
5. Auctioneer reserves the right to add or delete property from this auction or to alter the order of sale from that published herein. Failure to inspect property prior to auction does not relieve purchaser of contractual obligations of purchase. ALL ANNOUNCEMENTS MADE AT THE AUCTION TAKE PRECEDENCE OVER ALL ADVERTISING OR PREVIOUSLY STATED TERMS. Auctioneer is providing Internet bidding as a service to Buyer using a Third-Party Bidding System. Under no circumstances shall Buyer hold Auctioneer liable for system failures resulting in Buyer’s bid not being properly submitted.
6. Bidder represents warrants and acknowledges that the property is being auctioned by Max Spann Real Estate & Auction Co. (“Spann”) in an "AS IS" and "WHERE IS" condition subject to all faults, and specifically and expressly without any warranties, representations or guarantees, either express or implied, of any kind, nature, or type whatsoever from Spann in its own capacity or as the agent, servant or employee of the seller of the property. Bidder further acknowledges that Spann has not made any independent investigation of the condition of the property or examined, verified or confirmed the validity of any information, documents, literature, maps or sketches, pro-forms, or any other written documents provided in the Property Information Packet. Bidder also acknowledges that this sale is not subject to a three-day attorney review period.
7. Bidder and Bidder’s heirs, transferees, administrators, personal representatives, trustees, successors and assigns, forever waive, release, discharge and hold Spann harmless, from any claim it has, might have had, or may have against Spann with respect to:
a. The condition of the Premises, either patent or latent, of any nature whatsoever, including environmental contamination;
b. Buyer's ability or inability to obtain or maintain building permits, temporary or final certificates of occupancy or other licenses for the use or operation of the Premises, and/or certificates of compliance for the Premises;
c. The actual or potential income or profits to be derived from the Premises;
d. Any other state of facts which exist with respect to the Premises which at the time of closing were not the subject of actual knowledge on the
part of Seller.






_20_23_1024px__detail.jpg?v=1615407833)



