Fantastic Downtown Housing Opportunity
- Sale of 1.98+/- acres of surplus vacant land.
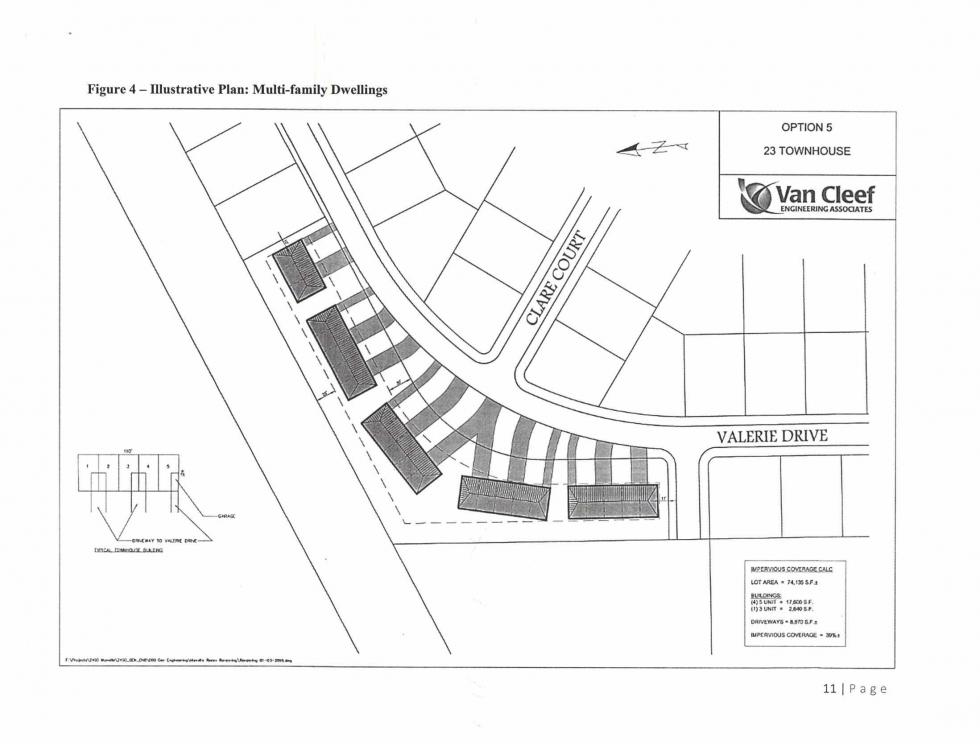
- Designated for 23 townhouses.
- Excellent opportunity for developers and builders.
- Walking distance to downtown Manville.
Property Preview 12 to 2 PM:
Thursday, November 8th
Property Location:
66-110 Valerie Drive
Manville, NJ 08835
Auction Date: November 29, 2018 at 1 PM
Auction Location:
Borough of Manville Municipal Building
325 North Main Street
Manville, NJ 08835
TAKE THE NEXT STEP!
Click here to join the bidders club, then return to this page to download the property information package.
I, the undersigned, agree to the following terms and conditions, should I be the high bidder.
1. Auction Day Requirements: I hereby agree to sign the contract of sale immediately upon the conclusion of bidding. A 10% deposit of the contract price is required. All bidders must be pre-registered and are required to have a bank cashier's check in the amount of $25,000 made payable to yourself and endorsed to escrow holder after completion of auction. A second check, personal check, is required for the balance of a 10% deposit. NO EXCEPTIONS PLEASE!.
2. I recognize that this is an Auction Sale and is not subject to an attorney review period. I will review the contract of sale prepared by Seller’s Counsel prior to the auction.
3. I have read the terms of this sale posted on the premises, printed on the sale brochures and said terms are incorporated herein by reference, as are any public announcements made sale day.
4. I agree to review the Property Information Packet prior to participating in Auction.
5. A Buyer’s Premium of 10% of the Bid Price will be added to the bid price and become the Final Contract Price. The successful high bidder will be required to sign a contract of sale immediately upon the conclusion of the auction. The property is being sold subject to Seller’s Confirmation and Acceptance..
6. If any check given in payment is not honored for any reason, I agree, whether said check be signed by me as maker or endorser, that if such check is placed in the hands of any attorney for collection, to pay all reasonable attorney’s fees, together with all costs of suit in the event is instituted.
7. Bidder represents warrants and acknowledges that the property is being auctioned by Max Spann Real Estate & Auction Co. (“Spann”) in an "AS IS" and "WHERE IS" condition subject to all faults, and specifically and expressly without any warranties, representations or guarantees, either express or implied, of any kind, nature, or type whatsoever from Spann in its own capacity or as the agent, servant or employee of the seller of the property. Bidder further acknowledges that Spann has not made any independent investigation of the condition of the property or examined, verified or confirmed the validity of any information, documents, literature, maps or sketches, pro-forms, or any other written documents provided in the Property Information Packet.
Bidder and Bidder’s heirs, transferees, administrators, personal representatives, trustees, successors and assigns, forever waive, release, discharge and hold Spann harmless, from any claim it has, might have had, or may have against Spann with respect to:
a. The condition of the Premises, either patent or latent, of any nature whatsoever, including environmental contamination;
b. Buyer's ability or inability to obtain or maintain building permits, temporary or final certificates of occupancy or other licenses for the use or operation of the Premises, and/or certificates of compliance for the Premises;
c. The actual or potential income or profits to be derived from the Premises;
d. Any other state of facts which exist with respect to the Premises which at the time of closing were not the subject of actual knowledge on the part of Seller.





