Build Your Beach House
3 Residential Building Lots Sold Separately
Two Single Family Home & One Townhouse Triplex Site
By Order of Seaside Heights
Package 1
Redevelopment 3 Townhouse Site
50 x 100 ft+/- Building Site Lot:27, Block:19
Property Address: 229 Franklin Ave, Seaside Heights, NJ 08751
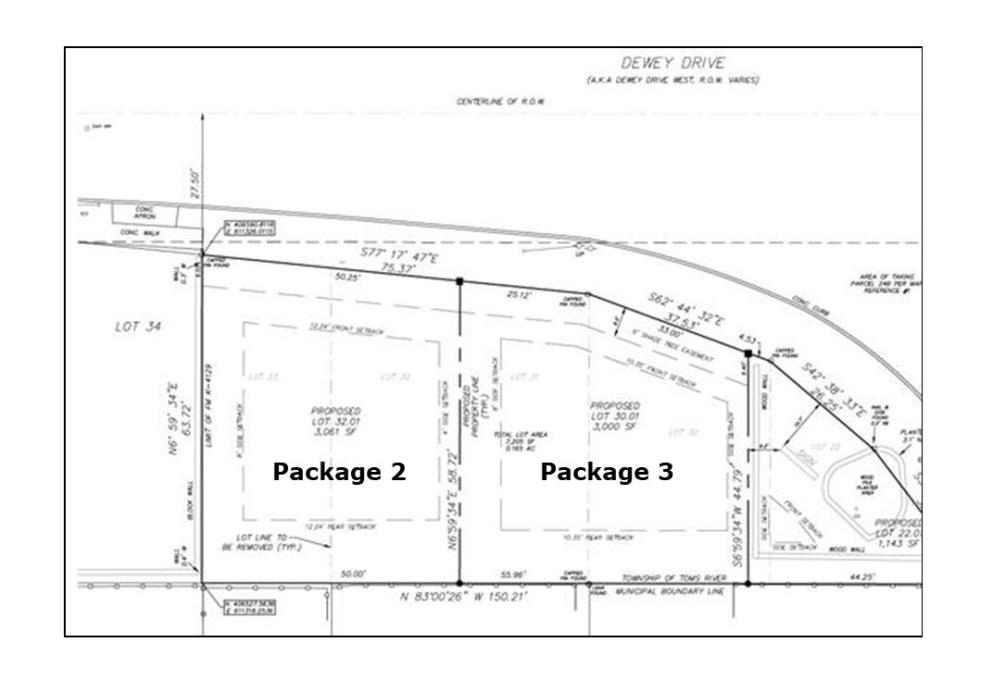
Package 2 and 3
Two Single Family Home Lots – Sold Separately
Choose your favorite lot and place your bids! Or Buy Both!
Public Water & Sewer
package 2: 3,061+/- sf Lot 32.01, Block:1098.56
package 3: 3,000+/- sf Lot 30.01, Block:1098.56
Property Address: [GPS use #219] Dewey Drive, Toms River, NJ 08751
Online Auction Bidding Concludes: Thursday, December 14, 2023 at 11:00 am
Registered Bids: Create a bidwrangler account and Bid Online at maxspann.bidwrangler.com
Take the next step!
Join the bidders-club, then click on the confirmation email in your inbox/spam folder, then return to this page and click on the large red button to the left of the photo above to download the property information package and pre-register for the auction.
Questions?
Call 888-299-1438 or email auctions@maxspann.com
I, the undersigned, agree to the following terms and conditions, should I be the high bidder.
Auction Day Requirements:
- All bidders must be pre-registered. A $10,000 deposit must be placed into Max Spann Real Estate & Auction Co. escrow account by 5PM on Wednesday, December 13, 2023. Auction Co. may not approve a bidder if notification of bank transfers or deposits is received after the time frames prescribed. I understand that if I am the High Bidder and fail to submit my full deposit and execute Contract of Sale as required within the time frames outlined, said deposit of $10,000 (as well as any additional funds received) will be forfeited and be non-refundable. Defaulting bidders will be subject to being barred from future auctions. If you are not the high bidder said deposit will be promptly returned. No exceptions please!
- High Bidder is required to deposit the balance of 10% of the total contract amount into the escrow account by end of business day. The high bidder is required to enter into an Agreement of Sale immediately at the end of the auction. The Successful Bidder shall not be permitted to withdraw his/her/its bid. A 10% Buyer’s Premium will be added to the bid price and become the final Contract Price.
- I have read the terms of this sale posted, printed in the Property Information Package (PIP) and said terms are incorporated herein by reference, as are any public announcements made on sale day. I recognize that this is an Auction Sale and is not subject to a three-day attorney review period. I will review Property Information Package, the contract of sale prepared by Seller’s Counsel prior to participating in the auction. I recognize this sale is subject to seller’s confirmation and acceptance.
- If any check or wire transfer given in payment is not honored for any reason, I agree, whether said check be signed by me as maker or endorser, that if such check is placed in the hands of any attorney for collection, to pay all reasonable attorney’s fees, together with all costs of suit in the event such is instituted. Auctioneer reserves the right to add or delete property from this auction or to alter the order of sale from that published herein. Failure to inspect property prior to auction does not relieve purchaser of contractual obligations of purchase. ALL ANNOUNCEMENTS MADE AT THE AUCTION TAKE PRECEDENCE OVER ALL ADVERTISING OR PREVIOUSLY STATED TERMS. Auctioneer is providing Internet bidding as a service to Buyer using a Third-Party Bidding System. Under no circumstances shall Buyer hold Auctioneer liable for system failures resulting in Buyer’s bid not being properly submitted. All online auctions are subject to extended bidding. Auction company reserves the right to adjust the auto extension time period.
- Bidder represents warrants and acknowledges that the property is being auctioned by Max Spann Real Estate & Auction Co. (“Spann”) in an "AS IS" and "WHERE IS" condition subject to all faults, and specifically and expressly without any warranties, representations or guarantees, either express or implied, of any kind, nature, or type whatsoever from Spann in its own capacity or as the agent, servant or employee of the seller of the property. Bidder further acknowledges that Spann has not made any independent investigation of the condition of the property or examined, verified or confirmed the validity of any information, documents, literature, maps or sketches, pro-forms, or any other written documents provided in the Property Information Packet.
- Bidder and Bidder’s heirs, transferees, administrators, personal representatives, trustees, successors and assigns, forever waive, release, discharge and hold Spann harmless, from any claim it has, might have had, or may have against Spann with respect to:
a. The condition of the Premises, either patent or latent, of any nature whatsoever, including environmental contamination;
b. Buyer's ability or inability to obtain or maintain building permits, temporary or final certificates of occupancy or other licenses for the use or operation of the Premises, and/or certificates of compliance for the Premises;
c. The actual or potential income or profits to be derived from the Premises;
d. Any other state of facts which exist with respect to the Premises which at the time of closing were not the subject of actual knowledge on the part of Seller.
By signing below, I agree to the terms and conditions.






